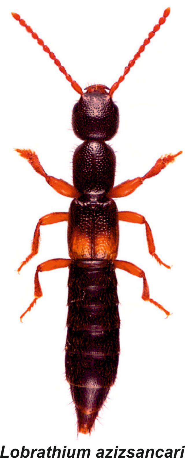
Manisa Celal Bayar Üniversitesi (MCBÜ) Alaşehir Meslek Yüksekokulu Bitki Koruma Programı Öğretim Üyesi Doç. Dr. Sinan Anlaş ve ekibi, 2 yıl önce İç Anadolu'da Sivas ile Erzincan arasındaki Kızıldağ geçidinde ve Kangal ilçesinde yeni bir böcek türüne rastladı. Avcı ve tarım yararlısı olduğu belirlenen yeni türe Nobel Kimya Ödüllü Prof. Dr. Aziz Sancar'ın da onayı alınarak Prof. Dr. Aziz Sancar'ın isminden hareketle, "lobrathium azizsancari" adı verildi.

Yeni türe ilişkin makale akademik dergi Turkish Journal of Zoology'de yayımlandı.
MCBÜ Türkiye'deki böcek biyoçeşitliliğini tespit için 2013'te TÜBİTAK desteğiyle proje başlamış ve 8 yıl boyunca Anadolu'nun farklı bölgelerinde saha araştırmaları yapmıştı.
Doç. Dr. Sinan Anlaş, Kızıldağ geçidinde yeni bir tür bulduklarında ekip olarak heyecanlandıklarını, türün adlandırılması konusunda çalışma arkadaşlarıyla istişare yaparken Prof. Dr. Aziz Sancar'ın adının verilmesi tavsiyesinin öne çıktığını söyledi.
Bunun üzerine hemen bir e-posta hazırlayarak, yürüttükleri çalışmayı ve yeni türe ismini vermek istediklerini Prof. Dr. Sancar'a ilettiğini dile getiren Doç. Dr. Anlaş, şöyle dedi:"Sayın Sancar, ülkesindeki her türlü bilimsel çalışmayı desteklediğini, gurur duyduğunu belirterek, onore olduğunu ve büyük memnuniyet duyduğunu bize bildirdi. Biz de bunun üzerine türün yayımlanması çalışmalarına başladık. Bu yeni türe "lobrathium azizsancari" ismini verdik. Daha sonra bu türü ülkemizin saygın bilim dergilerinden Turkish Journal of Zoology'de yayımladık ve bilim dünyasına tanıttık."

Doç. Dr. Anlaş, lobrathium azizsancari türünün dere kenarlarında ve sulak alanlarda yaşadığına dikkati çekerek, "Aynı zamanda kar örtüsünün de altında bulduk. Bu türle ilgili çalışmalarımız halen devam ediyor. Ancak elimizdeki verilere göre lobrathium azizsancari, avcı bir tür. Yani tarım yararlısı bir tür. Ayrıca bu türün çevresel kirliliğe yaşam fonksiyonlarını değiştirerek veya toksinleri vücudunda biriktirerek cevap veren bir canlı olduğunu düşünüyoruz." ifadelerini kullandı.
AA







Yorumlar